
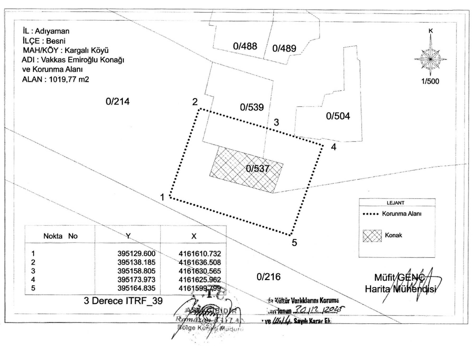
Besni - ADIYAMAN – Şanlıurfa Kültür Varlıklarını Koruma Bölge Kurulu, Adıyaman’ın Besni ilçesinde bulunan tarihi Vakkas Emiroğlu Konağı için koruma alanı belirlenmesine karar verdi.
Kurulun 30 Aralık 2025 tarihli toplantısında alınan karara göre, Besni ilçesi Kargalı Köyü’nde yer alan ve 537 nolu parselde bulunan, “2. grup yapı” olarak tescilli Vakkas Emiroğlu Konağı’nın korunma sınırları resmi olarak çizildi. Daha önce koruma alanı belirlenmemiş olan yapı için hazırlanan 1/500 ölçekli koordinatlı koruma alanı haritası ile güncellenen tescil fişi onaylandı.
Alınan karar doğrultusunda, konağın bulunduğu 537 nolu parselin tapu kütüğü beyanlar hanesine “Tescilli Yapı Korunma Alanındadır” şerhi konulacak. Ayrıca, yapının çevresinde yer alan 214 ve 539 nolu parsellerin tapu kayıtlarına ise “Bir Kısmı Tescilli Yapı Korunma Alanındadır” ibaresi işlenecek.
Koruma şerhiyle birlikte, söz konusu taşınmazlarda yapılacak her türlü fiziki müdahale, inşaat ve düzenleme çalışması Kültür Varlıklarını Koruma Kurulu’nun iznine tabi olacak. Böylece tarihi konağın ve çevresinin kültürel miras niteliğinin korunması amaçlanıyor.
Yetkililer, alınan kararın Adıyaman’ın kültürel mirasının gelecek kuşaklara aktarılması açısından önemli bir adım olduğunu vurguladı.





